- Nama Ilmiah : Ficus albipila (Miq.),
- Nama lokal : Leses, Kayu Lian, Bee fig, Abbey tree
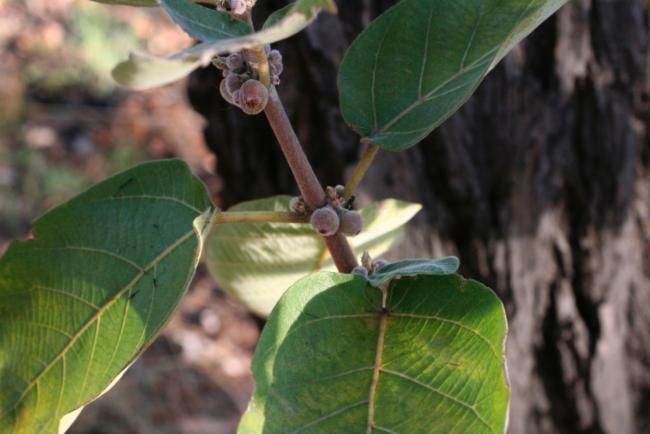
- Ciri spesifik : Dapat mencapai 40-45 m. Batang putih lurus, cabang tumbuh langsung tegak, Ranting muda berambut sangat halus – wool berwarna putih. Getah bersifat iritatif. Menggugurkan daun musiman. Memiliki akar gantung/akar udara yang kuat & banyak, mencapai tanah membentuk penopang alami. Permukaan bawah daun memiliki rambut putih halus (albipila = “berambut putih”).
Ficus albipila (lian/leses) adalah ficus khas hutan tropis dengan daun berbulu putih di sisi bawah dan akar udara melimpah. Habitat alami Ficus albipila berupa hutan dataran rendah hingga perbukitan. Hutan sekunder, hutan primer, tepi sungai. Lingkungan lembap dengan naungan parsial.
Persebaran alami Ficus albipila membentang dari Sri Lanka hingga India, Thailand, timur, seluruh kepulauan Indonesia hingga hutan hujan Cape York di Australia Utara. Namun agaknya di seluruh wilayah persebaran tersebut Ficus albipila tampaknya mengalami penurunan perlahan sehingga mulai langka atau jarang ditemukan.
Di Lombok, Ficus albipila cukup umum serta terdapat sekelompok pohon Ficus albipila tua yang meliputi beberapa hektar di pantai timur laut Lombok tersebut. Saat ini tempat tersebut telah menjadi tempat wisata populer yang menarik banyak pengunjung asing setiap hari. Kelompok Ficus albipila ini berada di lahan pribadi yang terbagi antara dua pemilik dan disebut-sebut sebagai Pohon Lian Purba.
Iklim Lombok yang jauh lebih kering dan lebih musiman daripada Kalimantan, dan persebaran Ficus albipila saat ini menunjukkan bahwa sebagian besar Sundaland, termasuk Kalimantan, memiliki iklim yang jauh lebih kering dan lebih musiman di masa lalu.
Ficus albipila atau yang sering disebut sebagai kayu lian di Indonesia, adalah spesies tumbuhan berbentuk pohon dari famili Moraceae (suku ara-araan). Tumbuhan yang dikenal dengan nama pohon lelas, leles, atau leses (Jawa). Ficus albipila berasal dari bioma beriklim tropis basah, dengan rentang sebaran mulai dari India selatan hingga Queensland utara dan timur. Nama ilmiahnya pertama kali dipublikasikan oleh botanis Friedrich Anton Wilhelm Miquel pada 1888.
Mofologi
- Pohon berukuran sedang–besar (±15–45 m). Sering tumbuh sebagai hemiepifit pada fase awal (Berkecambah di percabangan pohon lain).
- Batang bisa berasal dari beberapa akar menyatu (multi-stem). Membentuk struktur berongga. Kulit batang abu-abu kecokelatan, relatif halus.
- Batang dapat mencapai panjang hingga 20 m, diameter 1 m, dengan penopang hingga tinggi 5 m.
- Akar udara khas: Memiliki akar gantung/akar udara yang kuat dan banyak. Akar mengeras setelah mencapai tanah → membentuk penopang alami. Efektif menyerap air dan nutrien dari udara lembap.
- Daun berbentuk elips hingga lonjong. Ukuran sedang–besar (±10–20 cm). Permukaan bawah daun memiliki rambut putih halus (albipila = “berambut putih”). Kelenjar lilin tak ada. Tangkai 1-8.5 cm Pangkal menjantung – membulat. Tepi daun rata (muda bergerigi), ujung meruncing, sedikit terpuntir. Tulang daun atas kebanyakan rata. Vena sisi 6–14 pasang, bercabang atau menggarpu dalam. Vena pangkal 1/20–1/10 panjang daun, bercabang.
- Buah (Ara/Syconium). Buah bulat kecil–sedang. Sepasang atau tunggal, diketiak atau di bawah daun. Bertangkai 0.2–0.8 cm. Braktea dasar 3, 1–2 mm, luruh. Receptacle agak membulat, 1–1.5 cm. Matang dari kuning ke merah muda ke merah. Rambut internal panjang banyak. Berbuah cukup sering. ➡ Menjadi sumber pakan penting bagi burung dan mamalia kecil. Penyerbukan oleh tawon ara spesifik (mutualisme obligat). Tanpa tawon, tidak terjadi reproduksi.
Daur Hidup
- Fase Biji/Generatif Awal (Ini menandai awal fase hemiepifit): Menghasilkan buah tipe ara (syconium) yang berisi banyak biji kecil. Buah matang dimakan burung dan kelelawar. Biji tersebar melalui kotoran satwa (zoochory). Biji sering jatuh dan berkecambah di percabangan pohon lain, celah batang, celah batu.
- Fase Hemiepifit / Epifit Awal (Durasi: ± 1–3 tahun.): Biji berkecambah di atas pohon inang, bukan di tanah. Akar pertama menempel pada kulit batang inang. Tanaman muda memanfaatkan cahaya tajuk atas. Mendapat air dan nutrisi dari hujan, embun, dan serasah.
- Fase Akar Udara Turun: ➡ Transisi dari epifit ke pohon mandiri. Akar udara tumbuh memanjang ke bawah menuju tanah. Setelah menyentuh tanah akar menebal dan berkayu (berfungsi menyerap air dan hara langsung).
- Fase Strangler/Mencekik Inang (Fase ini opsional—tidak semua F. albipila membunuh inangnya.): Akar-akar udara menyatu dan melingkari batang inang. Inang perlahan kalah bersaing (terhalang cahaya & terganggu aliran nutrisi), Inang bisa mati dan membusuk, meninggalkan rongga tengah.
- Fase Pohon Mandiri Dewasa (Mulai produktif ± 10–15 tahun): Pohon berdiri sendiri dengan banyak batang semu. Tinggi dapat mencapai 15–30 m. Mulai berbunga dan berbuah secara rutin. Memasuki hubungan mutualisme penuh dengan tawon ara spesifik.
- Fase Tua & Regenerasi: Struktur batang berongga dan kompleks. Akar udara tetap tumbuh dan memperkuat struktur. Terus menghasilkan buah hingga usia lanjut. Regenerasi berlangsung lewat biji yang disebar satwa.
Jaring Kehidupan
Ficus albipila adalah simpul ekologis penting yang menghubungkan lapisan tajuk atas, batang, hingga lantai hutan. Ficus albipila adalah simpul jaring kehidupan hutan tropis yang sangat kuat, karena:
- Produsen Primer: Daun melakukan fotosintesis → sumber energi dasar. Tajuk tinggi memanfaatkan cahaya optimal. Serasah daun memperkaya tanah hutan.
- Mutualisme Wajib/obligat : Ini adalah simpul paling krusial dalam jaring kehidupan.Penyerbukan Albipila ↔ Tawon Ara (Fig Wasp Spesifik). Bunga tersembunyi di dalam buah ara (syconium). Hanya diserbuki oleh satu atau beberapa spesies tawon ara tertentu. Tanpa tawon → Ficus albipila tidak berbuah, sebaliknya tanpa Ficus albipila → tawon punah. Apabila keberadaan tawon khusus ini tidak ditemukan, proses penyerbukan tidak akan pernah terjadi, sehingga kalaupun muncul buah semu (ara), buah yang jatuh ke tanah hanyalah cangkang kosong tanpa biji yang mampu berkecambah.
- Penyedia Pangan Sepanjang Tahun: Ficus alibipila mengeluarkan buah (ara) sepanjang tahun, menjadikanya penopang satwa. Buah albipila dimakan oleh: Burung frugivora (merpati hutan, jalak). Kelelawar buah. Primata kecil (lutung, monyet). Tupai & musang. Buah ficus ini berperan sebagai pangan penyangga (fallback food) saat pohon lain tidak berbuah.
- Habitat multi-lapis. Ficus albipila menyediakan ruang untuk keanekaragaman tinggi. Dari tajuk sampai dengan akar menjadi ruang multi lapis bagi keanekaragaaman hayati. Strategi hemiepifitnya menjadikan spesies ini sangat adaptif serta penting dalam jaring kehidupan hutan. Kehilangan F. albipila berarti hilangnya tempat hidup, pakan, dan konektivitas ekosistem.
- Habitat Mikro & Struktural. Akar udara → tempat hidup semut, laba-laba, serangga. Rongga batang → sarang burung, kelelawar, reptil kecil. Percabangan rapat → epifit (paku, anggrek), lumut.
- Jaring Makanan (Trofik): Menghubungkan rantai makanan siang & malam. Contoh alur:
- Daun → ulat & serangga.
- Serangga → burung insectivora.
- Burung & mamalia kecil → ular, elang.
- Buah → kelelawar → predator malam.
- Pengurai & Daur Hara:
- Jamur & bakteri menguraikan daun, akar mati.
- Rayap menguraikan kayu tua.
- Mikoriza membantu serapan nutrisi.
- Interaksi dengan Lingkungan:
- Menstabilkan struktur hutan.
- Akar udara menyalurkan air hujan ke tanah.
- Menciptakan mikroklimat lembap.
Potensi
- Potensi sosial-budaya: keberadaan Ficus albipila terkadang dipertahankan sebagai pohon keramat sehingga secara tidak langsung berfungsi untuk mengkonservasi lingkungan sekelilingnya. Selain identik dengan pohon keramat keberadaan kayunya kurang dimanfaatkan secara ekonomi, sehingga relatif aman dari penebangan oleh manusia.
- Potensi ekologis: Seperti dipaparkan diatas, Ficus albipila memiliki peran penting dalam konservasi satwa. Keberadaanya memberikan habitat bagi keanekaragaman hayati.
- Potensi wisata: Di lombok, sekelompok pohon Lian (Ficus albipila) yang eksotis menjadikanya tempat wisata alam yang sangat diminati. Selain mendapatkan pengalaman unik melihat keindahan alam, pengunjung juga akan mendapatkan mendapatkan pengalamn edukatif mengenai keberadaan sekelompok Ficus albipila besar tersebut.
Gambar




































Sumber : Plantnet, Global Biodiversity Information Facility (GBIF) & Dari berbagai sumber